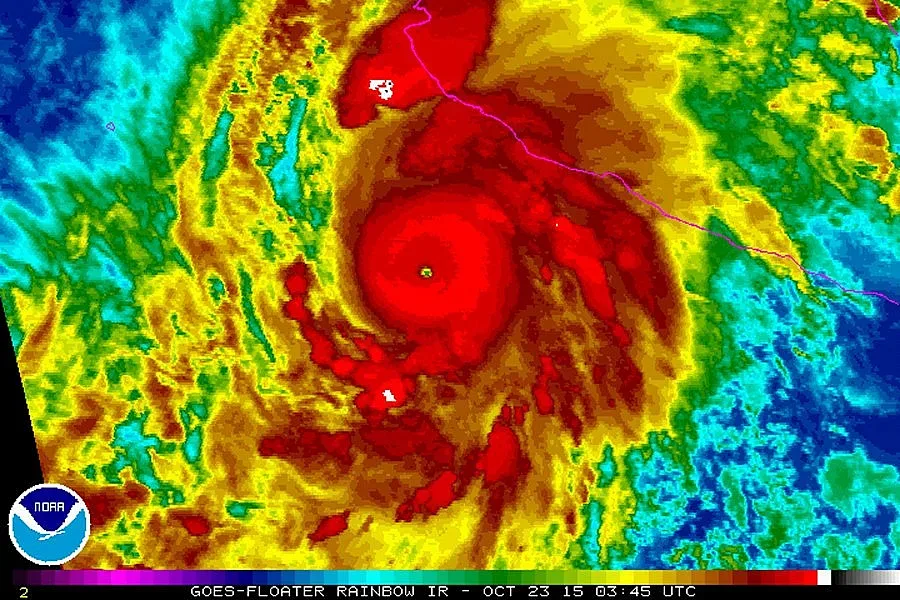
Ураганът "Патриция" достигна бреговете на Мексико. Преди това природната стихия бе от най-високата и разрушителна категория - пета. Силата на ветровете във вътрешността на урагана е достигала 325 км/ч с пориви до 400 км/ч., показват данните на националния център на САЩ по наблюдение на ураганите.
По-късно стана ясно, че ураганът е отслабнал и вече е от четвърта степен, но все още е „изключително опасен" за югозападната част на Мексико.
Хиляди мексиканци бяха евакуирани след като снощи в много щати беше обявено извънредно положение. Много хора се подготвяха за най-лошото след като властите обявиха, че към Мексико се насочват 8-метрови вълни. При достигането си на сушата обаче силата на природната стихия намаля.
Според националния център по урагани в събота сутрин местно време "Патриция" може да се превърне в обикновена тропическа буря.
До момента няма данни за пострадали. Постъпили са данни само за локални наводнения и разрушения на пътната мрежа.
Последвайте ни в Google News Showcase за важните новини
Вижте всички актуални новини от Standartnews.com















