Японският тайфун напредва към Токио, има нови жертви
Тайфун "Фанфон" набира все повече сила и напредва към централна Япония. Той достигна най-големия японски остров Хоншу, след като премина през южната ч...
Следете всички новини, анализи и коментари за Тайфун. Събрахме водещите материали и бърз достъп до най-релевантните секции, в които темата се развива най-активно.
Тайфун "Фанфон" набира все повече сила и напредва към централна Япония. Той достигна най-големия японски остров Хоншу, след като премина през южната ч...
Японският тайфун "Фанфон" остави над 22 000 домакинства без ток на южния японски остров Кюшу и архипелага Амами. Медиите в страната съобщават, че всл...
Токио. Откриха още три тела по склоновете на изригналия японски вулкан Онтаке, след като спасителната операция бе възобновена, предаде AFP. Местните в...
Токио. Един човек е загинал, а 33 са сериозно ранени по време на тайфуна Халонг в Япония. Властите предупредиха 1,6 милиона души да се евакуират от п...
Токио. Задаващият се тайфун „Халонд" предизвика евакуацията на 1,6 милиона японци. Обявено е и бедствено положение. До момента природната стихия уби е...
Пекин. Жертвите на мощния тайфун Рамасун, който порази южен Китай, вече са 17, а още петима се водят безследно изчезнали, предадоха световните агенции...
Манила. Има данни за най-малко 38 загинали, след като мощен тайфун удари филипинската столица Манила, съобщи AFP. Природната стихия с името „Раммасум"...
Манила. Хиляди души бяха евакуирани заради тайфуна "Рамасун", който връхлетя голяма част от Филипините. Най-малк десет човека са загинали, съобщиха ме...
Токио. Тайфунът Неогури взе пет жертви, предаде ИТАР-ТАСС. И уточни, че те са намерили смъртта си в вследствие на свлачища и наводнения. Други 45 души...
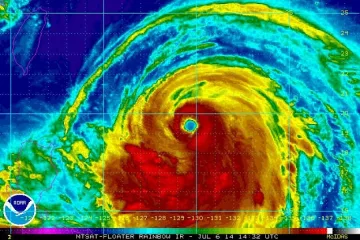
Мощният тайфун "Неогури" удари вчера японската префектура Окинава с ветрове, достигащи 250 км/ч, и предизвика същинско бедствие на островите, съобщава...
Супертайфунът Неогури се е насочил към южната островна верига Окинава в Япония, предаде Ройтерс. Поривите на вятъра достигат 270 км/ч, съобщи японско...
Манила. Броят на загиналите по време на смятания за най-силния тайфун над суша - Хаян, който опустоши големи части от Филипините, достигна 5 924-ма д...
Манила. Две седмици след като тайфунът Хаян опустоши Филипините официалният брой на жертвите вече е 5209 души. Близо 23 5000 са пострадалите, съобщи ш...
Манила. Европейският съюз ще добави 7 милиона евро към отпуснатите на Филипините 13 милиона евро за пострадалите от тайфуна Хаян, съобщи еврокомисар...
Еврокомисарят по международно сътрудничество и хуманитарна помощ Кристалина Георгиева пристигна днес във Филипините. Целта на посещението й е да бъде...
Манила. Правителствена агенция съобщи официалната равносметка за загиналите хора вследствие на преминаването на тайфуна „Хаян" през Филипините. Броят...
Хонконг. Жена търси свои роднини, които може да са оцелели от тайфуна Хайян, в мрежата. Дейзи Намет е филипинка, която от години живее в Хонконг, но с...
Положението във Филипините, които бяха пометени от най-силния от век тайфун Хайян, продължава да е бедствено, тъй като помощ до оцелелите почти не дос...
Вашингтон. Президентът на САЩ Барак Обама увери своя филипински колега Бениньо Акино, че САЩ са готови във всеки един момент да увеличат хуманитарната...
Щети за $14 млрд. и над 10 милиона пострадали от смъртоносния Хайян