неделя, 14 декември 25
Абонирай се
Стандарт Нюз
5°
София
разкъсана облачност
10°
Пловдив
мараня
9°
Варна
ясно небе
10°
Бургас
ясно небе
7°
Русе
ясно небе
4°
Стара Загора
ясно небе
4°
Плевен
лека мъгла
8°
Сливен
ясно небе
6°
Добрич
ясно небе
6°
Шумен
ясно небе
5°
Перник
ясно небе
  • Новини
  • Политика
  • Общество
  • Свят
  • Бизнес
  • Любопитно
  • Чудесата на България
  • Спорт
  • Подкаст
  • Регионални
  • Вестник Стандарт
  • Младежка академия "Чудесата на България"
  • Здраве
  • Образование
  • Моят град
  • Технологии
  • ДА!На българската храна
  • ДА! На българската икономика
  • Култура
  • Правосъдие
  • Крими
  • Киберзащитници
  • Вяра
  • Обяви
  • Войната в Украйна
  • Още
    Стандарт
    • Новини
    • Политика
    • Общество
    • Подкаст
    • Бизнес
    • Свят
    • Любопитно
    • Лайфстайл
    • Спорт
    • Регионални
    • Чудесата на България
    • Младежка академия "Чудесата на България"
    • Вестник "Стандарт"
    • Здраве
    • Образование
    • Моят град
    • ДА! На българската храна
    • ДА! На българската икономика
    • Култура
    • Технологии
    • Правосъдие
    • Крими
    • Киберзащитници
    • Вяра
    • Малки обяви

    Всичко за Бурята на века

    1. Новини
    2. Бурята на века
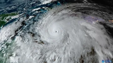
    Бурята на века се мести. Една държава в ужас

    Бурята на века се мести. Една държава в ужас

    Ураганът "Мелиса" не оставя нищо след себе си

    29 октомври | 7:18
    0 коментара
    2137
    Ураганът на века помете Ямайка! Страшна заплаха за Куба и Бахамите

    Ураганът на века помете Ямайка! Страшна заплаха за Куба и Бахамите

    Разкриха над 650 убежища

    28 октомври | 21:56
    0 коментара
    3075
    Експерти съветват: Кеш в левове няма да е излишен през януари

    Експерти съветват: Кеш в левове няма да е излишен през януари

    1 коментара
    168342
    Два метала преобръщат световната икономика през 2026 г. Раждат нови лидери

    Два метала преобръщат световната икономика през 2026 г. Раждат нови лидери

    0 коментара
    56956
    Райско кътче стана тузарския квартал на София. Наддават за къщи

    Райско кътче стана тузарския квартал на София. Наддават за къщи

    2 коментара
    50395
    Харалан Александров обяви новата коалиция. Изненада на изборите

    Харалан Александров обяви новата коалиция. Изненада на изборите

    0 коментара
    12280
    Зимният ритъм на времето се запазва, но вече се задава промяна

    Зимният ритъм на времето се запазва, но вече се задава промяна

    0 коментара
    9684
    Измамите в социалните мрежи стават по-умни и по-опасни!

    Измамите в социалните мрежи стават по-умни и по-опасни!

    6 коментара
    277
    5 зодии получават заслужена награда до дни
    Снимка: Freepik

    5 зодии получават заслужена награда до дни

    4 коментара
    84208
    Наш град взе тежко решение за еврото!

    Наш град взе тежко решение за еврото!

    4 коментара
    221813
    Хороскоп: Везните показват амбиция, рибите се помиряват с околните

    Хороскоп: Везните показват амбиция, рибите се помиряват с околните

    3 коментара
    3480
    Край! Брюксел отсече влизаме ли в еврозоната

    Край! Брюксел отсече влизаме ли в еврозоната

    3 коментара
    38882
    StandartNews.com
    • Новини
    • Политика
    • Общество
    • Подкаст
    • Чудесата на България
    • Любопитно
    • Бизнес
    • Свят
    • Спорт

    © 2025 | StandartNews.com © всички права запазени

    • За нас
    • Общи условия
    • Редакция
    • Интернет реклама
    • Реклама в Стандарт
    • Контакти
    • Карта на сайта
    • Абонамент за в. Стандарт