Бащата на Караянчева без кола след урагана
Председателят на парламента изказа съчувствие на съгражданите си
Председателят на парламента изказа съчувствие на съгражданите си
Зимата се завърна със сняг и виелици
Евакуираха 600 гимназисти в Сопот
Заради счупени прозорци и врати спряха учебните занимания в професионалното училище в Сопот
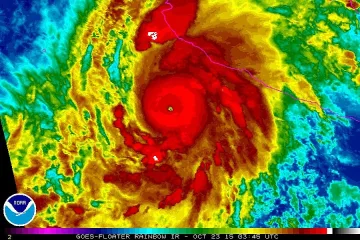
Зловещият ураган Матю се насочи към Флорида, Джорджия и двете Каролини и близо 2 милиона души от крайбрежните зони на източните щати бяха призовани да...
Ураганен вятър остави без покрив десетки къщи в Димитровград, а част от хората изкараха безсънна нощ. Само за броени минути бурята отнесла всичко по п...
Суперциклонът Уинстън удари архипелага Фиджи, като уби най-малко петима души и срина със земята няколко отдалечени села, предаде Ройтерс. Ураганът е е...
Оранжев код за 16 области в страна Затварят пътища за 2-3 часа да ги изчистят, строяват шейни и АТВ-та Тръгвайте на път със зареден GSM и резервоар,...
Хиляди останаха без ток, двама пострадаха от бурята в София Силен ураганен вятър причини неприятности в половин България. Хиляди останаха без ток, ав...
Само два сигнала постъпиха през изминалата неделна нощ в РС „ПБЗН" – Благоевград за възникнали проблеми след силния вятър в региона. Наложила се е нам...
Ураганът Патрисия връхлетя онази вечер Мексико с максималната сила по 5-степенната скала на Сафир-Симпсън, но вече отслабна до 2-ра степен и се превър...
Ураганът "Патриция" достигна бреговете на Мексико. Преди това природната стихия бе от най-високата и разрушителна категория - пета. Силата на ветровет...
Ураган и пороен дъжд оставиха без покрив десетки семейства в свищовското село Драгомирово. Бедствието удари региона през почивните дни, а хората очакв...
Ураганни бури бушуваха в северната част на Германия, причинявайки смъртта на поне един човек, както и редица материални щети. Торнадо, предизвикано о...
Седем души загинаха, а други няколко бяха ранени от урагана "Никлас", който удари Германия, съобщи ДПА, цитиран от БГНЕС. Във федералните провинции Ба...
Смолян бяга от втора вълна, хората се местят при роднини Жителите на Смолян настръхнаха заради очакваните наводнения, заради топящите се снегове в пл...
Русе. Огромна трагедия споходи близките на 30-годишната Александра, която стана жертва на урагана през уикенда. Младата жена оставя първокласник кръгл...
Десетки села без ток. И "Маказа" остана на тъмноСемейство загуби дома си в Доганово, покрив се стовари върху кола във Вършец Ураганен вятър отнесе по...
Мощен ураганен вятър затвори международното летище "Рафик Харири" в Бейрут, съобщи ТАСС. Морските пристанища в Ливан също са затворени заради силната...
Живакът в термометрите пада с 10 градуса Ураган от Арктика ще вледени страната ни в понеделник. Студеният въздух ще започне да навлиза у нас още от н...